FIA-Wahl landet vor Gericht: „Illusion der Demokratie“
(Motorsport-Total.com) – FIA-Präsidentschaftskandidatin Laura Villars hat Klage gegen den Weltverband eingereicht, weil sie demokratische Standards bei der bevorstehenden Wahl in ...
(Motorsport-Total.com) – FIA-Präsidentschaftskandidatin Laura Villars hat Klage gegen den Weltverband eingereicht, weil sie demokratische Standards bei der bevorstehenden Wahl in ...
Der Staatsvertrag drohte zu scheitern. Dann meldete sich überraschend der Premierminister zu Wort.Dresden. Der sächsische Landtag hat den Weg für ...
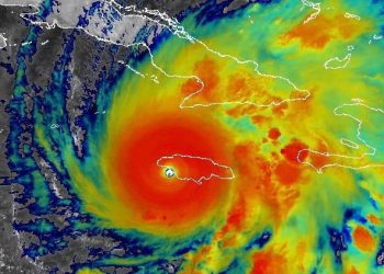
Kingston (Jamaika) – Was bleibt, ist Zerstörung, Trümmer – und Hoffnung: Nach einem der stärksten Hurrikane in der Geschichte der ...
aktuelle Nachrichten Stand: 29. Oktober 2025 22:14 Uhr Einer Prognose zufolge ist die Partei des Rechtspopulisten Geert Wilders nicht mehr ...
Im Vorfeld der Zinsentscheidung der US-Notenbank und wichtiger Quartalszahlen aus dem amerikanischen Technologiesektor traten die Anleger am deutschen Aktienmarkt auf ...
Marloffstein - Beim ersten Treffen klappt es nicht immer auf Anhieb: In der dritten Folge von „Hochzeit auf den ersten ...
Der Royal Court of Justice tagt in London: Die Klage des langjährigen Formel-1-Fahrers Felipe Massa wird verhandelt; Der 44-jährige Brasilianer ...
Niedersachsen & Bremen 15-jähriger Beifahrer verhindert schlimmeren Unfall 29. Oktober 2025, 18:08 Uhr Während der Fahrt verlor der Vater plötzlich ...
Im Sudan leiden die Menschen zunehmend unter den Folgen des Bürgerkriegs zwischen der Staatsarmee und der paramilitärischen RSF-Miliz. Trotz internationaler ...
Bei den Parlamentswahlen in den Niederlanden liegt die linksliberale Partei D66 überraschend vorne, während der Rechtspopulist Geert Wilders herbe Verluste ...